
|
十仁セッティング 美しい髪・すこやかな髪・髪の健康を保ちながらセットができる |
|
十仁セッティング
毛髪にトリートメント効果を与えて、 すこやかな髪をつくり、 それを長時間持続させる美容施術です。 |
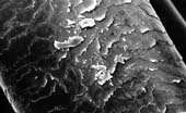
![]() 正常な髪 |
|
![]() 十仁ウェーブ(施術5回) |
⇔ | ![]() コールドパーマ(施術1回) |
![]() ヘアダイ+十仁ウェーブ (施術5回) |
⇔ | ![]() ヘアダイ+コールドパーマ (施術1回) |